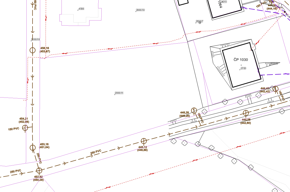
Územní plán, poloha, katastr, inženýrské sítě.
Legenda:
Modrá - voda. Žlutá - plyn. Červená - elektřina. Hnědá - kanalizace.

Letecký pohled na pozemek.

Mapový snímek.

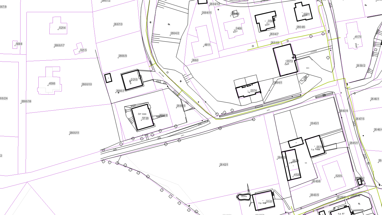
Snímek katastrální mapy.

Snímek katastrální mapy, úvaha o budoucím rozdělení pozemku.

Územní plán, Rožnov pod Radhoštěm

Územní plán, plochy a jejich využití.

Normativy, bydlení individuální, BI, Rožnov pod Radhoštěm.

Inženýrské sítě, kanalizace a elektřina.

Inženýrské sítě, plyn.

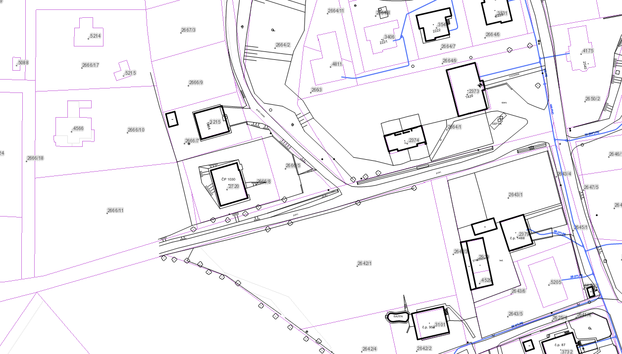
Inženýrské sítě, voda.

CHKO Beskydy, Zóna III.

CHKO Beskydy, Zóna II.